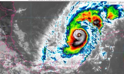
México, Avanzada (08/10/2024).- La amplia circulación del huracán Milton, que se mantiene como un ciclón de categoría 4 en la escala Saffir-Simpson, seguirá causando lluvias muy...
“Nos llaman ‘rastreadoras’. Nuestra labor es buscar a nuestros desaparecidos por cuenta propia, convirtiendo nuestro dolor en acción”. Sinaloa, México, Avanzada (08/10/2024).- La organización Sabuesos Guerreras,...
Guerrero, México, Avanzada (08/10/2024).- La mañana de este martes, 8 de octubre de 2024, se registró un sismo de magnitud 4.2 con epicentro localizado a 28...
México, Avanzada (08/10/2024).- En el centro de una serie de contratos millonarios para la reconstrucción de escuelas en Oaxaca tras el devastador sismo de 2017, un...
Veracruz, México, Avanzada (08/10/2024).- La Fiscalía General del Estado de Veracruz informó que elementos de la policía ministerial ejecutaron una orden de aprehensión en contra de...
Sinaloa, México, Avanzada (07/10/2024).- Estrella Palacios, alcaldesa electa de Mazatlán, Sinaloa, fue víctima de un violento asalto mientras transitaba por la Maxipista Mazatlán-Culiacán. El incidente ocurrió...
México, Avanzada (07/10/2024).- El huracán Milton alcanzó la categoría 5 en la escala Saffir-Simpson, convirtiéndose en una amenaza extrema para las zonas costeras de Yucatán. El...
México, Avanzada (07/10/2024).- La decapitación del alcalde de Chilpancingo, Alejandro Arcos Catalán, ha generado una ola de indignación en redes sociales, donde usuarios han exigido la...
Guerrero, México, Avanzada (07/10/2024).- Tras el brutal asesinato del alcalde de Chilpancingo, Alejandro Arcos Catalán, el Partido de la Revolución Democrática (PRD) en Guerrero ha manifestado...
México, Avanzada (07/10/2024).- El Servicio Sismológico Nacional informó sobre un sismo de magnitud 4.1 registrado la mañana de este lunes 7 de octubre de 2024, en...
Guerrero, México, Avanzada (06/10/2024).- El alcalde de Chilpancingo, Guerrero, Alejandro Arcos Catalán, fue asesinado este domingo, apenas tres días después de que el secretario del mismo...
Comunicado (06/10/2024).- Elementos de la Secretaría de Seguridad y Protección Ciudadana (SSPC) del estado de Morelos, adscritos a la Quinta Región Policial, en coordinación con elementos...